


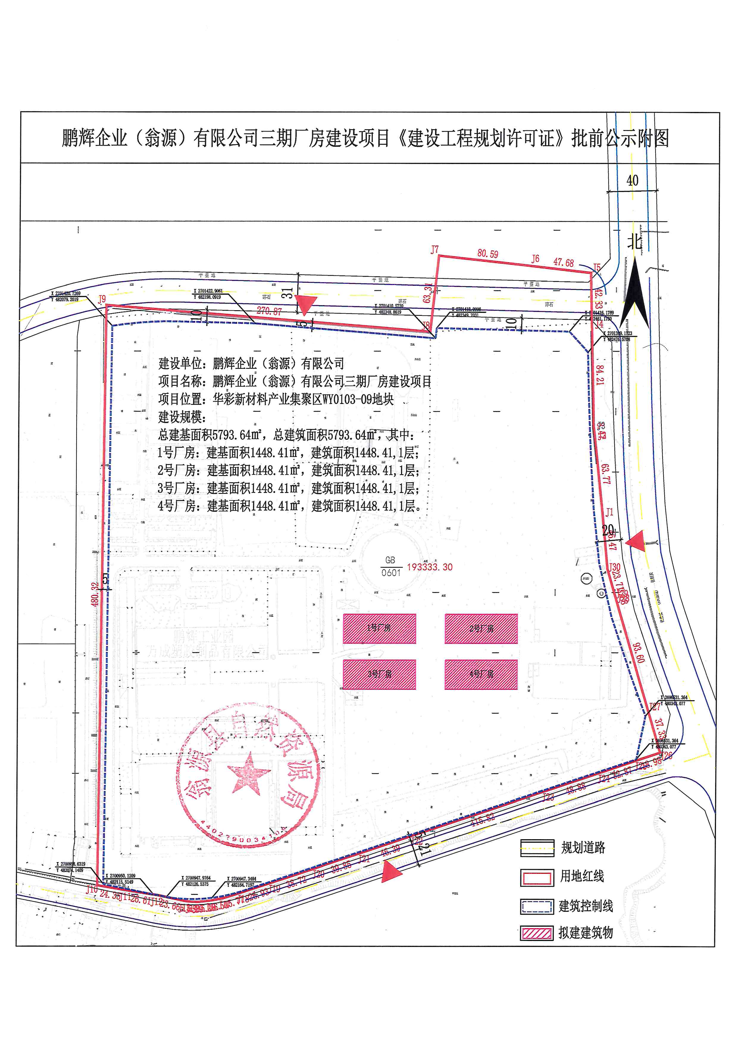
鹏辉企业(翁源)有限公司三期厂房建设项目《建设工程规划许可证》批前公示
发布日期:2024-11-08 浏览次数:-
主办单位:韶关市翁源县自然资源局 联系方式:0751-2835287
粤公网安备44022902440233号
粤ICP备2022127779号 网站标识码:4402290002网络支持 IPv6 网络