所在位置:首页 > 政务公开

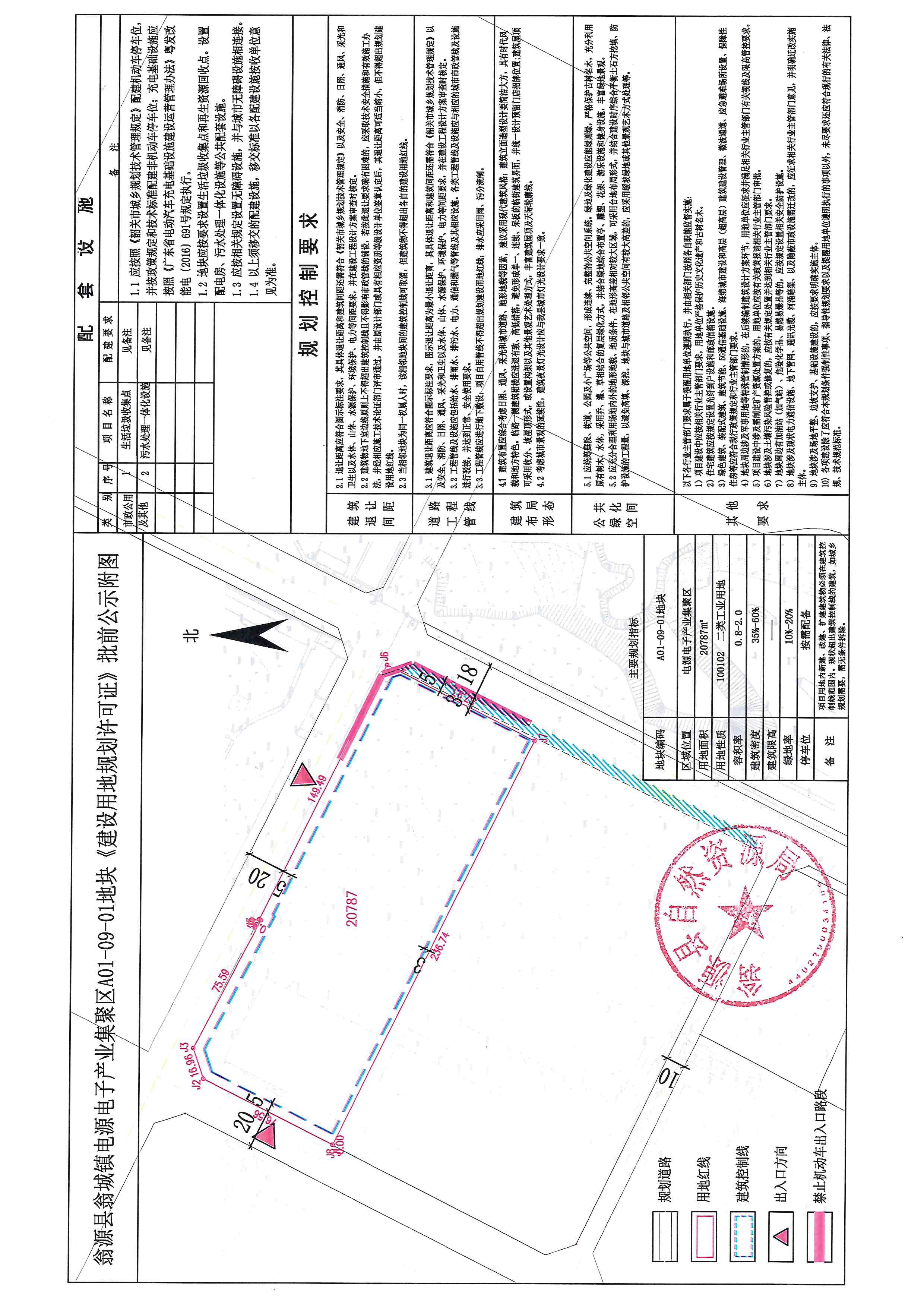
翁源县翁城镇电源电子产业集聚区A01-09-01地块《建设用地规划许可证》批前公示

作者: 来源:本网 发布时间:2026-01-21 11:40:05 字号:[ ]

doc04490620260121114014_001.jpgdoc04490620260121114014_002.jpgdoc04490620260121114014_003.jpg